사람들은 루이지애나에 허리케인 IDA가 영향을 미치기 전에 어쨌든 탈출하고 있습니다.
필사적으로 공항에 계속 도착해
최대 경보 멕시코 및 미국
허리케인 IDA는 1850년 이후 루이지애나에서 가장 강력할 것으로 전문가들은 말합니다.
절망적인 사람들이 루이지애나 공항에 도착했습니다. 그들은 허리케인 IDA가 영향을 미치기 전에 가능한 한 빨리 루이지애나에서 벗어나기를 원합니다.
내일 Lousiana 공항이 폐쇄되는 것으로 확인되었으며, 이 마지막 순간에 사람들은 계속해서 완전한 공포에 질려 도착합니다.
허리케인 IDA가 영향을 미치기 전에 5,000명의 주방위군이 루이지애나에 배치되었습니다.
허리케인 IDA가 영향을 미치기 전 미국 루이지애나주에서 비상사태가 확인되었습니다.
불행히도 이 허리케인의 타격을 심각하게 받아들이는 대기업은 거의 없습니다. 허리케인 IDA의 영향을 받은 대기업은 소수에 불과합니다.
사람들은 차를 타고 계속 탈출을 시도하고, 많은 사람들이 루이지애나에서 빨리 벗어나고 싶어 공항에 계속 도착합니다.
집에 머물 예정인 사람들은 루이지애나주에서 매장을 비우고 주유소에 줄을 서고 있습니다.
루이지애나의 많은 주유소에서 가스가 바닥났습니다.
상황이 중요합니다.
FEMA는 허리케인 IDA의 영향으로 미국 루이지애나에서 발생할 수 있는 비상 사태에 대비하고 있습니다.
허리케인 IDA는 현재 카테고리 2이지만 상륙하기 전에 향후 24시간 내에 카테고리 4 또는 5로 상승할 것으로 예상됩니다.
허리케인 IDA는 카테고리 4 또는 5에 도달할 것으로 예상되며 일요일 밤과 월요일 사이에 상륙할 것입니다. 최대 경보
멕시코 경보
허리케인 NORA가 멕시코 할리스코주 푸에르토 발라타에 상륙할 것으로 확인되었습니다.
현재는 아직 1등급이고 바다에 들어가면 더 강해질 수 있습니다.
Colima, Nayarit, Jalisco 및 Michoacán은 폭우로 인해 경계 상태입니다.
Sinaloa와 Sonora는 경계해야 하며 새로운 업데이트된 궤도를 기다려야 합니다.
마지막 궤도는 그것이 Sinaloa에 영향을 미치고 나중에 Sonora에서 열대성 폭풍으로 작용할 것임을 확인합니다.
경고: Michocan과 Colima 사이의 여러 스트림이 오버플로되었습니다. 주민들은 예방 조치를 취해야 합니다.
la gente está escapando como sea antes del impacto del huracán IDA en Lousiana
Siguen llegando al aeropuerto desesperadamente
ALERTA MAXIMA MÉXICO Y ESTADOS UNIDOS
Se espera que el huracán IDA sea el más fuerte registrado en Lousiana desde 1850 así lo dice los expertos.
La gente ha llegado desesperada al aeropuerto de Louisiana. Quieren salir lo más pronto posible de Louisiana antes del impacto del huracán IDA.
Se ha confirmado que el aeropuerto de Lousiana lo cerraran el día de mañana, en estos últimos minutos sigue llegando la gente en pánico total
Se han desplegado 5,000 miembros de la guardia nacional en Louisiana, antes del impacto del huracán IDA.
Se ha confirmado estado de emergencia en Louisiana Estados Unidos antes del impacto del huracán IDA.
Lamentablemente son pocos los negocios grandes que se están tomando enserio el golpe de este huracan. Se ha visto solo pocos negocios grandes tapados ante el impacto del huracán IDA.
La gente sigue intentando escapar en sus carros, muchas personas siguen llegando al aeropuerto quieren de salir de Louisiana lo más pronto posible.
Las personas que se quedarán en sus casas están vaciando las tiendas y están haciendo enormes filas en las gasolineras en Lousiana Estados Unidos.
Muchas estaciones de combustible se han quedado sin gasolina en Louisiana.
La situación está crítica.
FEMA está listo para la emergencia que pueda ocurrir en Louisiana Estados Unidos ante el impacto del huracán IDA.
En estos momentos el Huracán IDA es Categoría 2, pero se espera que en las próximas 24 horas suba a categoría 4 o 5, antes de tocar tierra.
Se espera que el huracán IDA llegué a Categoría 4 o 5 y va tocar tierra entre el domingo en la noche y lunes . Alerta maxima
ALERTA MÉXICO
Se confirma que el huracán NORA tocó tierra en puerto Vallarta, Jalisco México.
En estos momentos sigue como Categoría 1 y entrando al mar podría volverse más fuerte.
En alerta Colima , Nayarit , Jalisco y Michoacán por lluvias torrenciales
Sinaloa y Sonora deben estar alerta hay que esperar las nuevas trayectorias actualizadas.
La última trayectoria confirma que afectara Sinaloa y tocará después como Tormenta tropical en Sonora.
Alertas: varios arroyos entre michocan y Colima se han desbordado . Se le pide a la población tomar precauciones.
긴급한
허리케인 IDA가 괴물로 변하고 있습니다.
미국 루이지애나주의 최대 경보
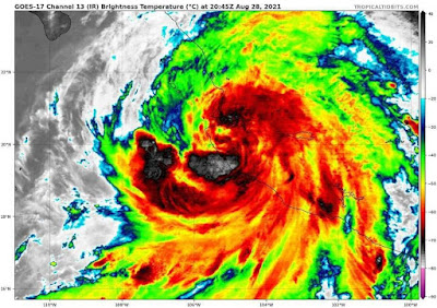
이것은 IDA의 눈이 이 순간에 카테고리 2로 관찰되는 방식입니다.
비상 임무를 시작한 비행기는 IDA 허리케인에서 95노트를 발견했으며 매우 빠르게 강화되고 있습니다.
그것은 카테고리 3에 가깝지 않으며 미국 루이지애나에 상륙하는 데 약 24시간 또는 그 이상이 있습니다.
루이지애나에는 이미 폭풍 해일이 있었고 영향을 받기 몇 시간 전에 인상적이었습니다.
허리케인 IDA가 야수로 변하고 있습니다.
97노트에 도달하면 이미 카테고리 3입니다.
루이지애나에서 모든 사람들이 제때에 대피하기를 바랍니다.
URGENTE
el huracán IDA se está convirtiendo en un monstruo
Alerta maxima en Lousiana Estados Unidos
ASI SE OBSERVA EL OJO DE IDA COMO CATEGORÍA 2 EN ESTOS MOMENTOS.
el avión que lanzo la misión de Emergencia ha encontrado en el huracán IDA 95 nudos se está intensificado muy rápido.
Está a nada de ser Categoría 3 y faltan como 24 horas o un poco más para que tocar tierra en Lousiana Estados Unidos.
Impresionante en estos momentos ya hay marejadas ciclónicas en Lousiana y faltan muchas horas para el impacto
El huracán IDA se está convirtiendo en una bestia
Al llegar a los 97 nudos ya es Categoría 3.
ESPEREMOS QUE TODA LA GENTE EVACUEN A TIEMPO EN LOUSIANA

























댓글 없음:
댓글 쓰기